Działka rekreacyjna Posadowa Mogilska gm. Korzenna
Posadowa Mogilska gm. Korzenna Pokaż na mapie ›
Odświeżone: Poniedziałek, 08 Grudzień, 2025 10:11
60 000 zł
59 zł/m2
Szczegóły ogłoszenia
- Kategoria: Działki i grunty / Sprzedaż
- Pow. działki:1011 m2
- Rodzaj działki:Rekreacyjna
- Sprzedaż:Pośrednik
- Cena: 60 000 zł / 59 zł/m2
Opis oferty
OKAZJA CENOWA !Ładna podmiejska działka
Działka budowlana obok miasta Nowego Sącza w Posadowej Mogilskiej
z dobrym dojazdem i uzbrojeniem w media.
Teren ekologiczny, poniżej potok, stok południowy, lekko nachylony.
Media: gaz obok działek, woda w pobliżu, elektryczność w pobliżu, brak kanalizacji; mapa zasadnicza terenu dostępna w biurze,
Powierzchnia: 1001 m2 z udziałem w drodze
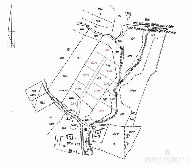
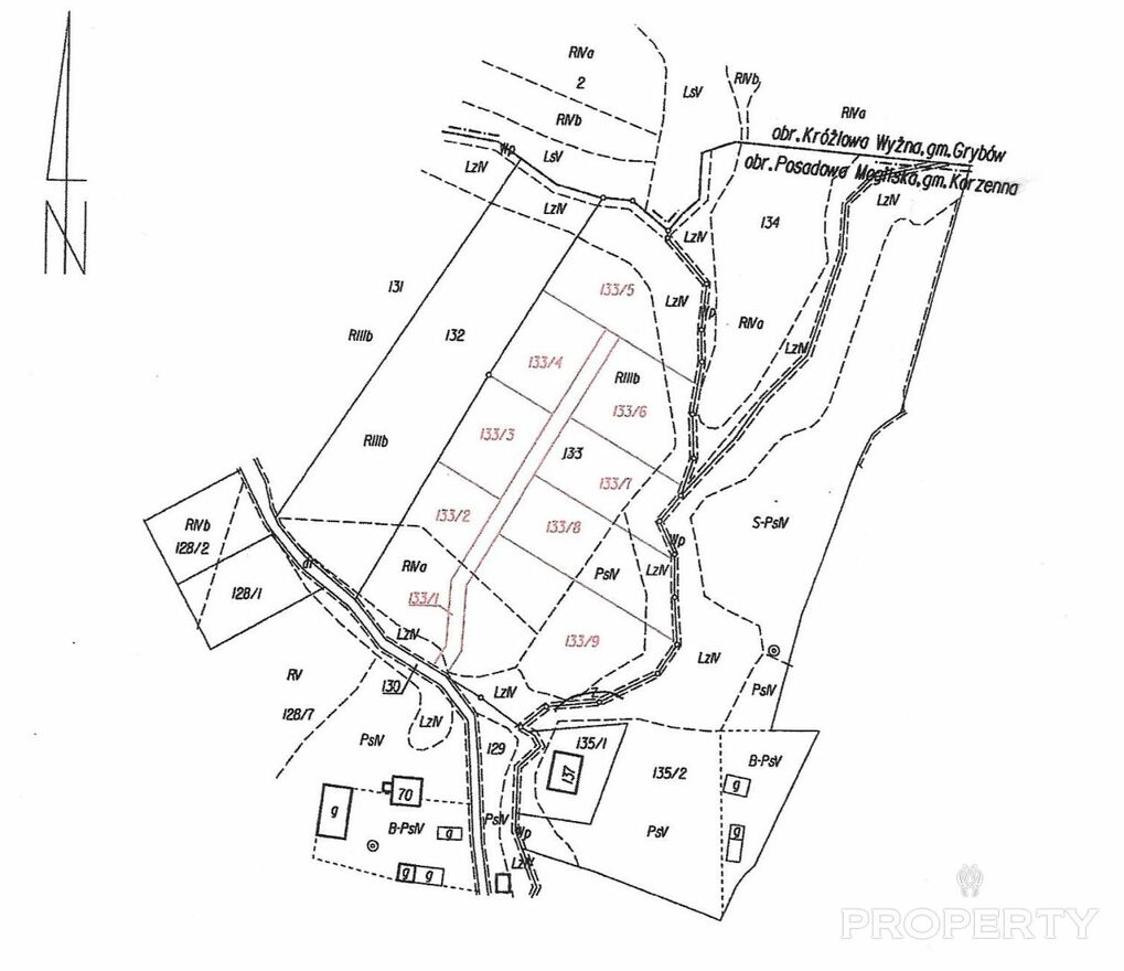
Działka nr 133/7
Istnieje możliwość powiększenia terenu poprzez zakup sąsiednich działek:
133/6 - 1133 m2 - 60000 zł z udziałem w drodze wewnętrznej
133/8 - 1418 m2 - 80000 zł z udziałem w drodze wewnętrznej
133/9 - 2566 m2 - 130000 zł z udziałem w drodze wewnętrznej
W przypadku zakupu sąsiednich działek cena podlega negocjacjom
Identyfikator :121006_2.0012.133/7
::DODATKOWE INFORMACJE
Prąd: w ulicy
Gaz: w ulicy
Woda: w ulicy
Dojazd: asfalt
Dojazd - opis: Dojazd droga asfaltowa a następnie około 30 m droga utwardzona wewnętrzna
Otoczenie: działki niezabudowane
Kanalizacja: brak
Komunikacja publ.: MPK, bus, autobus podmiejski
Położenie: na wsi
Zagosp. działki: niezagospodarowana
Ukształtowanie działki: lekko nachylona
Kształt działki: prostokąt
Ogrodzenie działki: brak
Warunki zabudowy: plan zagospodarowania przestrzennego
Zabudowa działki: niezabudowana
::LINK DO STRONY
http://www.propertynowysacz.pl/oferta.aspx?id=6842519
::KONTAKT DO AGENTA
Wacław Lechowicz
+ 48 18 4437380
+ 48 691 - pokaż numer telefonu -
@
Pośrednik odpowiedzialny zawodowo za wykonanie umowy pośrednictwa: Wacław Lechowicz (licencja nr: 757)
Oferta wysłana z systemu Galactica Virgo
Numer oferty: PTY-GS-791-1
Sprawdź zainteresowanie tym ogłoszeniem
Wyświetlenia
Data dodania
Ostatnio widziany
Obserwujących
Wysłane zapytania
Odsłony telefonu

Konto firmowe
Na Lento.pl od 29 kwi 2019
Strona użytkownika
- Wypromuj ogłoszenie
- Zgłoś naruszenie
- Drukuj ulotkę
- Edytuj/usuń ogłoszenie
- Udostępnij ogłoszenie
- Dodaj na Facebook












